Thông tin:
| Chủ đầu tư: Công ty Cổ phần Thống Nhất | Tổng diện tích: 499.79 Hecta |
| Thời gian vận hành: 2006 - 2056 | Giá: $160 |
| Mật độ xây dựng: 60 % | Tỷ lệ lấp đầy: 100 % |
| Địa chỉ: Xã Sông Trầu, Tây Hòa, Đồi 61 và thị trấn Trảng Bom, huyện Trảng Bom, tỉnh Đồng Nai | |
Khu công nghiệp Bàu Xéo (KCN Bàu Xéo) là một điểm đáng chú ý trong cảnh quan công nghiệp tại tỉnh Đồng Nai. Dự án được ví như “hạt nhân” thúc đẩy sự phát triển kinh tế của huyện Trảng Bom. Ngoài ra, khu công nghiệp còn hứa hẹn mang đến cho các doanh nghiệp những cơ hội sinh lời hấp dẫn. Để biết thêm thông tin, hãy cùng TTTLAND – Các Khu Công Nghiệp Tại Việt Namcập nhật qua bài viết dưới đây!
I. Tổng quan khu công nghiệp Bàu Xéo
Khu công nghiệp Bàu Xéo được triển khai và đầu tư bởi Công ty Cổ phần Thống Nhất. Dự án đi vào hoạt động từ năm 2006 với tổng thời hạn vận hành là 50 năm. KCN hội tụ vừa đủ những tiện ích, cơ sở hạ tầng kết hợp với giá mướn tương đôi “mềm”, Bàu Xéo đã nhanh chóng nhận được sự chào đón từ các nhà đầu tư lớn nhỏ. Điều này đã giúp cho KCN thu được tổng số vốn FDI lên đến 600 triệu USD và 400 tỷ đồng.
Quy mô KCN
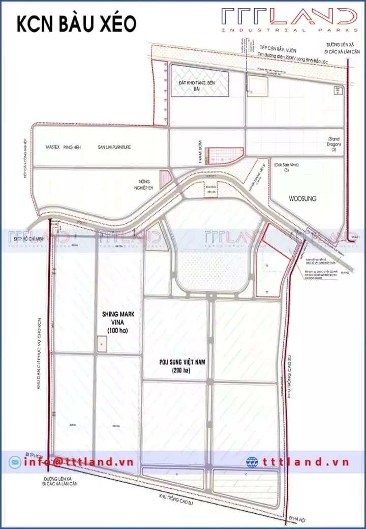
KCN Bàu Xéo khởi công xây dựng với tổng diện tích quy hoạch là 499.79 ha, trong đó diện tích đất công nghiệp và dịch vụ cho thuê chiếm 353,03 ha. Về cơ cấu sử dụng đất của KCN được mô tả cụ thể trong bảng sau:
| STT | Loại đất | Diện tích (m2) | Tỷ lệ phần trăm (%) |
| 1 | Đất xây dựng nhà xưởng, xí nghiệp | 3.280.806 | 65,64 |
| 2 | Đất khu dịch vụ trung tâm | 174.377 | 3,49 |
| 3 | Đất kho bãi, bến tàu | 83.649 | 1,67 |
| 4 | Đất cây xanh | 648.094 | 12,78 |
| 5 | Đất giao thông | 643.370 | 12,87 |
| 6 | Đất dành riêng cho khu kỹ thuật | 177.697 | 3,55 |
| Tổng | 4.997.993 | 100 |
II. Vị trí địa lý khu công nghiệp Bàu Xéo
Khu công nghiệp Bàu Xéo có vị trí nằm tại xã Sông Trầu, xã Tây Hòa, xã Đồi 61, huyện Trảng Bom, tỉnh Đồng Nai. Dự án được phân phối nằm ngay trung tâm vị trí vô cùng đắc đạo, thuận lợi cho hoạt động công nghiệp và kinh doanh.
Khu công nghiệp Bàu Xéo gồm 2 khu vực nằm dọc theo đường Quốc lộ 1A – tuyến đường giao thông liên kết Thành phố Hồ Chí Minh với Thành phố Biên Hòa. Trong đó: Khu 1 ở phía Bắc có diện tích 188,4168 ha và Khu 2 ở phía Nam với tổng diện tích lên đến 311,3825 ha. Điều này tạo điều kiện thuận lợi cho KCN trong việc tiếp cận thị trường tiêu thụ lớn và các dịch vụ hỗ trợ.
Ranh giới khu công nghiệp được giới hạn như sau:
- Phía Bắc tiếp giáp với đường dây điện cao thế: 220kV, 110KV và 35KV.
- Phía Nam tiếp giáp tuyến đường sắt Bắc Nam.
- Phía Tây tiếp giáp với các dự án khu dân cư theo quy hoạch đô thị.
- Phía Đông tiếp giáp với khu dân cư hiện hữu nằm trong Khu 1 và Khu 2.
Lợi thế kết nối của KCN
Sở hữu thế mạnh về vị trí chiến lược, KCN Bàu Xéo có cơ hội hợp tác, kết nối với các khu vực lân cận và khu vực trọng điểm. Từ đó giúp cho việc giao thông liên tỉnh đến các cảng, sân bay quốc tế trong Vùng kinh tế phía Nam được thuận tiện hơn bao giờ hết. Cụ thể:
- Nằm cách Ga Trảng Bom khoảng 2 km.
- Nằm cách trung tâm tỉnh Thành phố Biên Hòa 20 km.
- Nằm cách trung tâm Thành phố Hồ Chí Minh 50 km.
- Nằm cách sân bay quốc tế Long Thành mới: 20 km.
- Nằm cách sân bay quốc tế Tân Sơn Nhất: 50 km.
- Nằm cách cảng Gò Dầu: 40 km, chịu tải trọng tàu lên đến 15.000 tấn.
- Nằm cách cảng Phú Mỹ khoảng 45 km, chịu tải trọng tàu đến 50.000 tấn.
- Nằm cách cảng container Cái Mép: 60 km, chịu tải trọng tàu đến 80.000 tấn.

III. Cơ sở hạ tầng khu công nghiệp Bàu Xéo
Hệ thống cơ sở hạ tầng tại Khu công nghiệp Bàu Xéo đã và đang tạo nền móng quan trọng cho sự phát triển bền vững của khu vực. Đồng thời góp phần thúc đẩy cơ hội hợp tác kinh tế với các doanh nghiệp trong và ngoài nước. Dưới đây là một số tiêu chí quan trọng liên quan đến hạ tầng của KCN:
Hệ thống giao thông nội khu
- Trục chính giao thông tại KCN là Quốc lộ 1A.
- Hệ thống đường nội bộ trong Bàu Xéo: được nâng cấp và thiết kế hiện đại, lòng đường đảm bảo tiêu chuẩn với chiều rộng 10,5m và chịu tải trọng lên đến 30 tấn. Qua đó, KCN có thể gắn kết với các dự án lân cận và thị trấn Trảng Bom.
Hệ thống cung cấp nước sạch
KCN được cấp nước sạch từ nhà máy nước Thiện Tân, đảm bảo đáp ứng nhu cầu của các cơ sở kinh doanh. Nhà máy hoạt động với công suất 12.000 m3/ngày đêm, kết nối đến tận chân tường rào của các lô đất và nhà xưởng.
Hệ thống cung cấp điện
Nguồn điện tại khu công nghiệp Bàu Xéo được cấp từ trạm biến áp với công suất 110/22KV (126MVA). Nhằm đảm bảo tính ổn định trong sản xuất và ngăn chặn các gián đoạn không mong muốn.
Hệ thống xử lý nước thải
Tại khu CN Bàu Xéo – Đồng Nai, các nhà máy xử lý nước thải đều hoạt động với công suất lên đến 8.000 m3/ngày đêm. Giai đoạn 1 xử lý với công suất 4.000 m3/ngày đêm. Nước thải của KCN được thu gom và tiến hành loại bỏ chất độc hại trước khi thải ra sông Thao.
Hệ thống thông tin liên lạc
KCN được kết nối với hệ thống thông tin liên lạc của huyện Trảng Bom, trang bị vô cùng kỹ lưỡng đảm bảo quá trình liên lạc được thuận tiện.
Với mục tiêu trở thành một khu công nghiệp hiện đại, một cơ sở vững mạnh, đáp ứng đầy đủ yêu cầu của doanh nghiệp, KCN Bàu Xéo được đầu tư và quy hoạch đồng bộ hệ thống cơ sở hạ tầng tiêu chuẩn, toàn diện.
IV. Ngành nghề thu hút đầu tư tại khu công nghiệp Bàu Xéo
Với vị trí địa lý thuận lợi và cơ sở hạ tầng tốt, KCN Bàu Xéo đã thu hút sự quan tâm và đầu tư từ nhiều ngành nghề khác nhau. Tại đây, KCN ưu tiên các loại hình công nghiệp nhẹ, ít độc hại và hạn chế sử dụng nước, nhằm giảm thiểu tác động tiêu cực đối với môi trường. Dưới đây là danh sách một số ngành nghề hấp dẫn đầu tư vào KCN:
- Ngành công nghiệp chế biến nông sản, ngũ cốc, lương thực, thức ăn chăn nuôi.
- Ngành công nghiệp chế biến gỗ, nhựa và các sản phẩm liên quan.
- Ngành công nghiệp sản xuất hàng dệt, may, đồ da, đồ trang sức, nữ trang.
- Ngành công nghiệp sản xuất đồ gỗ, văn phòng, trang trí nội thất.
- Ngành công nghiệp sản xuất các dụng cụ phục vụ thể dục thể thao.
- Ngành công nghiệp sản xuất linh kiện, vi điện tử, thiết bị điện tử.
- Ngành công nghiệp sản xuất bao bì, in ấn, thiết kế, làm mẫu mã.
- Ngành công nghiệp cơ khí bao gồm: dập khung, sản xuất xe máy và phụ tùng.
- Ngành sản xuất dược phẩm, hóa phẩm, mỹ phẩm, văn phòng phẩm.
- Ngành sản xuất các mặt hàng thủ công mỹ nghệ, vật liệu xây dựng.
V. Ưu đãi đầu tư tại khu công nghiệp
Khi lựa chọn khu công nghiệp Bàu Xéo để đầu tư và thành lập cơ sở sản xuất và nhà xưởng, các tư nhân sẽ được hưởng một số chính sách ưu đãi sau:
Thuế thu nhập doanh nghiệp
- Các doanh nghiệp được hưởng ưu đãi miễn thuế 02 năm đầu, giảm 50% cho 04 năm tiếp theo đối với những dự án đầu tư mới vào KCN. Điều này có hiệu lực khi năm đầu tiên có thu nhập chịu thuế từ các dự án.
- Tùy thuộc vào từng quy mô doanh nghiệp, lĩnh vực đầu tư của dự án sẽ được hưởng những chính sách hỗ trợ riêng theo quy định của pháp luật.
Các ưu đãi khác
- Khu trung tâm dịch vụ Bàu Xéo cung cấp cho nhà đầu tư và người lao động đầy đủ các loại hình dịch vụ và tiện ích nhằm đảm bảo cho quá trình sinh hoạt và làm việc. Các tiện ích này bao gồm: khu nhà chung cư phục vụ cho công nhân và tư nhân, trung tâm thương mại, siêu thị, trường dạy nghề, bệnh viện,…
- Nhà đầu tư được hỗ trợ thuê hoặc mua mặt bằng với mức giá thành hấp dẫn, cạnh tranh hơn so với nhiều KCN khác.
- Ngoài ra, ban quản lý khu công nghiệp Bàu Xéo còn hỗ trợ, tư vấn nhanh chóng cho các doanh nghiệp thực hiện các thủ tục đăng ký kinh doanh, thanh toán. Lắp đặt đầy đủ các thiết bị, dụng cụ, máy móc đáp ứng cho hoạt động sản xuất và kinh doanh được hiệu quả.

VI. Chi phí đầu tư Khu công nghiệp Bàu Xéo – Tỉnh Đồng Nai
Tổng hợp các khoản chi phí đầu tư tại KCN Bàu Xéo được thống kê đầy đủ trong bảng sau:
| Giá cung cấp điện | Giờ cao điểm từ 9h30 – 11h30; 17h – 20h: 0.1 USD/ KWH. Giờ bình thường từ 4h00 – 9h30, 11h30 – 17h, 20h – 22h: 0.05 USD/ KWH. Giờ thấp điểm: 0.03 USD/ KWH. Theo quy định của Công ty Điện lực Đồng Nai. |
| Giá cung cấp nước sạch | 0.4 USD/m3/tháng. Theo giá được quy định bởi UBND tỉnh Đồng Nai. |
| Phí sử dụng hạ tầng một lần | 1.380.000 VNĐ/m2 (2056). |
| Phí quản lý hàng năm | 11.500 VNĐ/m2/năm, tương đương với 0.48 USD/m2/năm. |
| Giá thuê đất | Thanh toán 1 lần: 160 USD/m2 hoặc thanh toán từng năm cho đến khi hết thời gian vận hành. |
| Phí xử lý nước thải, chất thải rắn | 0.28 USD/m3/tháng. Tiêu chuẩn nước thải, chất thải đầu vào: loại B. Tiêu chuẩn xử lý đầu ra sông Thao: loại A (QCVN 40:2011/BTNMT). |
- Ghi chú: Các khoản chi phí thành phần trên chưa bao gồm thuế VAT.
VII. Nguồn lao động và chi phí nhân công
Khu công nghiệp Bàu Xéo với nhiều chính sách ưu đãi, cơ sở hạ tầng hiện đại đã và đang thu hút một lượng lớn nhà đầu tư quan tâm. Điều này tạo điều kiện cho các cơ sở doanh nghiệp được mở rộng sản xuất đồng thời tạo ra nhiều việc làm và đem đến cơ hội cho người dân lao động.
Với hơn 670.000 người tại huyện Trảng Bom, các doanh nghiệp tại đây có thể dễ dàng tuyển dụng nguồn lao động chất lượng, đáp ứng được yêu cầu công việc. Điều này không chỉ giúp cho các cơ sở đáp ứng nhanh chóng về nhu cầu nhân lực mà còn góp phần thúc đẩy sự phát triển kinh tế và xã hội trong khu vực.
VIII. Giá trị kinh tế khu công nghiệp Bàu Xéo
Sự phát triển và hoạt động của KCN đã và đang tạo ra những ảnh hưởng tích cực đối với nền công nghiệp Việt Nam. Đồng thời góp phần nâng cao vị thế của Khu công nghiệp Bàu Xéo nói riêng và Khu công nghiệp ở Đồng Nai nói chung. Dưới đây là những giá trị kinh tế của Bàu Xéo trong những năm qua:
- Vào năm 2016, tỷ lệ lấp đầy của KCN đã tăng dần và đạt mức 90,95%, khá cao so với các dự án trên địa bàn toàn tỉnh. Tại thời điểm đó, KCN đã thu hút được 27 dự án và được cấp giấy chứng nhận đầu tư. Trong số này, có 8 dự án có vốn đầu tư trong nước và 19 dự án có vốn đầu tư nước ngoài với tổng số vốn ước tính lên đến 940,485 triệu USD.
- Vào giai đoạn 2014-2016, lợi nhuận sau thuế của KCN Bàu Xéo có sự gia tăng từ 0,7629 tỷ đồng/ha tăng lên 1,3640 tỷ đồng/ha. Bên cạnh đó, khu công nghiệp Bàu Xéo còn đóng góp 417,5678 tỷ đồng vào ngân sách của tỉnh Đồng Nai.
- Theo báo cáo tài chính được ghi nhận vào năm 2021, KCN Bàu Xéo giảm 45% so với năm 2020, đạt tổng doanh thu là 172 tỷ đồng. Lợi nhuận sau thuế cũng giảm 58%, đạt con số trên 63 tỷ đồng. Đáng chú ý, lợi nhuận sau thuế vượt quá dự kiến 11% chỉ tiêu dự kiến cho năm sau.
- Ngoài ra, tại khu vực Trảng Bom có rất nhiều KCN nổi bật như: KCN Hố Nai, KCN Sông Mây, KCN Giang Điền,… thu hút hàng trăm nghìn người lao động vào mỗi năm.
IX. Kết luận
Qua những thông tin trên cho thấy, Khu công nghiệp Bàu Xéo là một hình mẫu điển hình cho sự phát triển và hội nhập kinh tế trong làng công nghiệp. Với những bước đi cơ bản và vững chắc, Bàu Xéo tiếp tục sẽ là lựa chọn uy tín, chất lượng đối với các nhà đầu tư khi thuê đất và đặt trụ sở tại đây.

- LĨNH VỰC HOẠT ĐỘNG/ SCOPE OF SERVICES/经营领域:
- Tư vấn bất động sản công nghiệp/ Industrial real estate consulting/ 工业房地产咨询服务.
- Tư vấn mua bán, sát nhập, cho thuê/ M&A and leasing advisory services/ 工业地产的并购、租赁服务咨询.
- Nhận ủy quyền từ chủ đầu tư để bán và cho thuê bất động sản công nghiệp các loại/ Authorized agency for selling and leasing all types of industrial properties/ 接受业主委托,销售与出租各类工业地产.
- Tư vấn pháp lý và hỗ trợ thủ tục (bao gồm IRC, ERC, DTM…)/ Legal consulting and licensing support (including IRC, ERC, DTM, etc.)/ 法律咨询与手续办理支持(包括投资许可证 IRC、营业执照ERC、环评DTM 等).
- Cho thuê – chuyển nhượng nhà xưởng trong Khu Công Nghiệp, bán đất khu công nghiệp trên toàn quốc/ Factory leasing & transfer, industrial land sales across Vietnam/ 工业园区厂房租赁与转让,全国范围内工业用地买卖.
- Tư vấn – thiết kế – thi công các công trình công nghiệp, nhà xưởng, Phòng Cháy Chữa Cháy, văn phòng và cảnh quan/ Consulting, design & construction of factories, fire protection systems, offices, and landscaping/ 工程咨询、设计与施工:工业厂房、消防系统、办公设施及绿化装饰等.
CÔNG TY TNHH TTTFIC GROUP
Địa chỉ: Số 290, Đường Đồng Khởi, (Phường Hoà Phú, Thành Phố Thủ Dầu Một, Tỉnh Bình Dương cũ), Phường Bình Dương, Thành Phố Hồ Chí Minh, Việt Nam.
Mã số thuế: 3702021750
- Tel: +84 274 633 6888
- Mobile 1: +84 93 643 1788 (Nhà Xưởng bán)
- Mobile 2: +84 916 97 4488 (Nhà Xưởng cho thuê)
- Mobile 3: +84 973 108 629 (Đất Công Nghiệp bán)
- Email: info@tttland.vn
- Khám phá thêm về chúng tôi trên các trang mạng xã hội: IG/Twitter/LinkedIn/Page: @TTTLAND.VN
Chúng tôi là đối tác lý tưởng để giúp bạn thành công trong thế giới đầy thách thức của bất động sản công nghiệp tại Việt Nam. Hãy để chúng tôi hỗ trợ bạn đến thành công!
Chuyên mục nổi bật:
- Tỉnh Bình Dương
- Tỉnh Bà Rịa - Vũng Tàu
- Tỉnh Thừa Thiên Huế
- Tỉnh Tiền Giang
- Tỉnh Tây Ninh
- Tỉnh Quảng Trị
- Tỉnh Sóc Trăng
- Thành Phố Hồ Chí Minh
- Tỉnh Bình Thuận
- Tỉnh Hà Tĩnh
- Tỉnh Bình Phước
- Tỉnh Nghệ An
- Tỉnh Bến Tre
- Thành Phố Cần Thơ
- Tỉnh Đồng Tháp
- Tỉnh Khánh Hòa
- Tỉnh Vĩnh Long
- Tỉnh Hậu Giang
- Tỉnh Hà Nam
- Tỉnh Lâm Đồng
- Tỉnh Nam Định
- Tỉnh Ninh Thuận
- Tỉnh Thái Bình
- Tỉnh Phú Thọ
- Tỉnh Đắk Nông
- Tỉnh Hưng Yên
- Tỉnh Vĩnh Phúc
- Thành Phố Đà Nẵng
- Tỉnh Hải Dương
- Tỉnh Thái Nguyên
- Tỉnh Quảng Nam
- Thành Phố Hải Phòng
- Tỉnh Bắc Giang
- Tỉnh Đồng Nai
- Tỉnh Quảng Ngãi
- Tỉnh Quảng Ninh
- Tỉnh Bắc Ninh
- Tỉnh Long An
- Tỉnh Bình Định
- Tỉnh Hòa Bình
- Thủ Đô Hà Nội